|
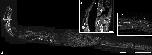
Fig. 1. FRMD6-ir neuronal cell bodies and varicose fibers. a The image displays a section of the rat vagus nerve cut immediately below the cranial base including the jugular and nodose vagal ganglia stained by the FRMD6 antiserum. Confocal stacks from nine overlapping images were z-projected and the sub-images stitched together by the ImageJ stitching plugin to a composite image. The jugular ganglion is to be seen in a vertical position on the left, the nodose ganglion represents the enlarged horizontally lying bulb in the middle tapering towards the cervical vagus nerve to the right side of the image. Individually stained neuronal cell bodies can be observed exclusively in the jugular ganglion, while the nodose ganglion shows only fibers of passage but no fluorescent cell bodies. Inset (aâ²) shows a magnification of the boxed area across the jugular ganglion. Neuronal cell bodies are marked by fluorescent cytoplasmic granules, which occasionally can be observed on the transport route to the axon (arrows). Inset (aâ³) shows a magnification of the boxed area across the cervical vagus nerve. Individual FRMD6-ir varicose nerve fibers can be observed in the vagus trunk. Scale bar 200 μm (a), 50 μm (aâ², aâ³) |
|
Fig. 2. Spinal cord sections from rainbow trout (a), xenopus (b) and rat (c), respectively, were double stained for FRMD6 (green) and HuC (red), which is a marker for neuronal perikarya. Single FRMD6-ir fibers and terminal endings are displayed in the dorsolateral area of the trout spinal cord (a). A dense network of terminal afferent endings in lamina II of the rat dorsal horn is highlighted by FRMD6 (c) and in the Lissauer tract of the xenopus spinal cord (b). Scale bar 100 μm
|
|
Fig. 3. Lane 1: biotinylated molecular weight marker. Lane 2: SDS extract of AtT-20 whole cell lysate probed with the C-terminus-specific antibody. To show the specificity of the antibody, lane 2 was cut into two halves prior to incubation with the primary antibody (cutting line indicated by a punctate vertical line) and both parts were incubated in separate trays with different antisera. The left side of lane 2 was incubated as control with an antiserum against green fluorescent protein, while the right part of lane 2 was incubated with the FRMD6 C-terminus-specific antiserum. Both parts of lane 2 were finally put together again before chemiluminescence imaging. A single specific band at 70 kDa is apparent solely on the right part of lane 2 exposed to the FRMD6 C-terminus-specific antibody, while the left part shows no signal at the corresponding molecular weight. Lanes 3â7: FRMD6 immunoprecipitation in different tissues with the FRMD6 N-terminus-specific antiserum. Immunoprecipitates (IPs) were probed with the FRMD6 C-terminus-specific antibody as in lane 2. Lane 3: a homogenate of rat spinal cord displays no significant band. Lanes 4 and 5: homogenates from two different AtT-20 cell cultures with identical cell densities. A specific band at 70 kDa but with variable intensity is apparent. Lanes 6 and 7: NIH3T3 and MCF-7 cultures, respectively. Lane 8: a control is shown performed under identical conditions with a parallel MCF-7 culture, except that for immunoprecipitation, a rabbit antiserum raised against an unrelated protein (human SGSM3) was used. The entire blotting membrane area is displayed in ESM, Fig. S3a |
|
Fig. 4. a Dorsal horn of the rat spinal cord double-stained for FRMD6 in the green fluorescence channel and SP in the red channel. The overlay image of both channels demonstrates extensive co-localization of SP in FRMD6-ir fibers resulting in the yellow coloration. The individual fluorescence channels are displayed in ESM, Fig. S4c´c´´. b Terminal nerve endings of large caliber FRMD6-ir nerve fibers at the lung hilus of Xenopus. Barâ=â50 μm |
|
Fig. 5. FRMD6-ir in the rat diencephalon. Double immunofluorescence of FRMD6 (green) in conjunction with GH-RH (red) or AVP (red) in the median eminence of the rat hypothalamus (a) and in Brocaâs diagonal band (b), respectively. a Intense co-localization (yellow merge color) of FRMD6 and GH-RH is seen in the external layer of the median eminence and in the large capillary loops (arrows) beneath the floor of the third ventricle (III). b Extensive co-localization of FRMD6-ir with AVP-ir in nerve fibers with a terminal-like morphology in the vertical limb of the diagonal band of Broca is evident by the yellow coloration of the fibers. The individual images for each fluorescence channel of Fig. 5 are shown in ESM, Fig. S7a-b´´, respectively. Scale bar 50 μm. |
|
Figure S2 FRM6-ir nerve fibers in the cranial nerves of three different species. A segment of the vagal nerve in xenopus (a), rat (c) and human (e) is shown, as well as of the trigeminal nerve in xenopus (b), rat (d) and human (f). In all three species FRMD6 labels a comparable subpopulation of varicose nerve fibers. (g) Human trigeminal ganglion stained with the FRMD6 antibody. The arrow points to a FRMD6-ir ganglion cell. Scale bar 100 µm |
|
Figure S3 (a) Full scan of the Western blot presented in Fig. 3. Box indicates the area displayed in Fig. 3. (b-b´´) MCF-7 cell transfected with a fusion protein construct comprising EGFP and FRMD6 aa 217-240 fused to the C-terminus of EGFP. (b) Overlay image of the green and red channel demonstrates complete co-localization of both channels resulting in yellow colour. (b´) Green channel displaying EGFP detected by its autofluorescence. (b´´) The red channel shows FRMD6-ir detected by the N-terminus directed antiserum and a secondary Alexa555 antibody. Scale bar 5 µm (c) Amino acid sequence alignment of a section of the FRMD6 FERM domain with homologous proteins. The section comprises the epitope detected by the FRMD6 antiserum (bracketed) and the region immediately surrounding it. Shown sequences are derived from rat FRMD6 aa 202-240 (F1LR29), FRMD5 aa 186-232 (Q7Z6J6), protein4.1 aa 377-423 (P11171), neurofibromatosis type 2 (NF2) aa 198-244 (P35240) and ezrin aa 182-203 (P15311). The numbers in parentheses are the UniProt knowledgebase identifiers of the respective protein sequences. |
|
Figure S4 Overlay images (a,b) and each individual fluorescence channel (a´-b´´´) constituting the respective overlay image. (a-a´´´) Triple immunofluorescence staining of FRMD6 (a´), CGRP (a´´) and I-B4 (a´´´) of the rat spinal cord dorsal horn. FRMD6 and CGRP co-localize in the outer layer of lamina II, as can be observed by the yellow colour in the overlay image, while no co-localization exists with IB4 positive fibers in the inner sublayer of lamina II. (b-b´´´) Triple staining of FRMD6 (b´), SP (b´´) and I-B4 (b´´´) in xenopus spinal cord. Co-localization of FRMD6 with SP at the entrance of the dorsal root in the spinal cord is evident by the yellow colour in the overlay image, while I-B4 positive fibres represent a separate fiber population. (c-c´´) Individual fluorescence channels of Fig. 4a in the main text. Scale bar 100 µm (a-b´´´) 50 µm (c-c´´) |
|
Figure S5 FRMD6-ir nerve fibers in xenopus lung tissues colocalize with SP. Double immunostaining of FRMD6 (a´, b´, c´) with SP (a´´, b´´, c´´) and overlay images (a, b, c). (a-a´´) Spindle-shaped, contorted terminal endings of large calibre fibers in the region of the lung hilus extensively co-localize with SP. (b-b´´) Image shows a section through the lung wall with the alveolar epthelium (AE) below and a pulmonary blood vessel (BV). In close association to the blood vessel wall large calibre FRMD6/SP-ir fibers can be observed. The arrow points to a small calibre FRMD6/SP-ir fiber in the submucosa beneath the alveolar epithelium. (c-c´´) Arrows point to FRMD6/SP-ir fibers running parallel to the strands of smooth musculature (sm) in the pulmonary walls. Scale bar 100 µm |
|
Figure S6 The image represents a frontal section through the entire right and left telecephalic hemispheres of an adult Xenopus brain at the level immediately posterior to the entry of the accessory olfactory bulb. FRMD6-ir is shown in green, HuC in red. A dense FRMD6-ir fiber plexus highlights the striatum and the accumbens nucleus. Additionally, individual fibers can be observed coursing in the lateral septal area and to a lesser extent in the medial pallium. The image was recorded by the NanoZoomer from the company Hamamatsu using the fluorescence option. Abbr.: ventricle (vl), dorsal pallium (DP), lateral pallium (LP), lateral septum (LS), striatum (STR), nucleus accumbens (Nc), Scale bar 500 µm |
|
Figure S7 a-d´´ FRMD6-ir fibers in the rat diencephalon. (a-b´´) Composite and individual fluorescence channels of Fig. 5 in the main text. (c-c´´) Image shows the suprachiasmatic nucleus (SCh) overlying the optic chiasm (ox). Third ventricle (III). FRMD6-ir fibers can be observed in the SCh, which is highlighted by numerous AVP-ir fibers, but both markers occur in separate fiber populations. (d-d´´) AVP positive neurons in the supraoptic magnocellular nucleus (SO) lateral to the optic chiasm (ox). FRMD6-ir fibers are visible (d´), but no co-localization with AVP-ir fibers (d´´) occurs. Scale bar 100 µm |
|
Figure S7 e,f Triple immunostaining for FRMD6, AVP and SP in the diagonal band of Broca and the septum. (e-e´´´) Vertical limb of the diagonal band of Broca. Composite image (e) and the individual three fluorescence channels for FRMD6 (e´), AVP (e´´) and SP (e´´´) immunostaining are displayed. For the assessment of co-localization in nerve fibers, the overlay images of the green and red channel (e´+ e´´) and the green and magenta channel (e´+ e´´´) are additionally shown. FRMD6-ir fibers co-localize extensively with either AVP-ir or SP-ir fibers, as can be observed by the yellow colour in (e´+e´´) representing FRMD6/AVP double positive fibers, or white colour in (e´+e´´´) indicating FRMD6/SP double positive fibers. Arrows point to two FRMD6-ir fibers, which are negative for both AVP and SP. (f-f´´´) Intermediate part of the lateral septal nucleus (LSI) medial to the lateral ventricle (LV). Composite image of all three fluorescence channels (f), the individual three channels for FRMD6 (f´), AVP (f´´) and SP (f´´´), the overlay image of the green and red channel (f´+f´´) and the overlay image of the green and magenta channel (f´+f´´´). FRMD6-ir fibers co-localize with either AVP, as can be seen by the yellow colour in (f´+ f´´), or with SP, visible by the white colour in (f´+f´´´). Arrow points to a FRMD6 positive nerve fiber, which is negative for both AVP and SP and, therefore, represents a third subpopulation of FRMD6-ir fibers. Scale bar 50µm |
|
Figure S7 g-j´´ FRMD6-ir fibers in the rat diencephalon. (g-g´´) FRMD6-ir fiber plexus in the lateral habenular nucleus (LHb), lateral to the medial habenular nucleus (MHb) and the dorsal part of the third ventricle (D3V). A significant subpopulation of FRMD6-ir fibers (g´) shows co-localization with SP (g´´), as can be observed by the yellow coloured fibers in the composite image (g). (h-h´´) Two confocal z-series stained for FRMD6 (h´) and AVP (h´´) are fused to a single image covering the area of the lateral habenular nucleus (LHb) and the stria medullaris of the thalamus (sm). AVP-ir fibers show significant co-localization with FRMD6-ir fibers in the part of the LHb abutting the MHb and in nerve fibers of the sm. Hippocampal cortex (CA). (i-i´´) In the adenohypophysis a single FRMD6-ir fiber (i´) double positive for SP (i´´) can be ovserved. (j-j´´) In contast, FRMD6-ir fibers in the neurohypophysis (j´) represent a separate fiber population from SP-ir fibers (j´´) and no co-localization can be seen in the overlay image (j). Scale bar 100 µm |
|
Figure S8 a-b´´´ Composite and individual fluorescence channels of Fig. 6 in the main text. In the fluorescence channel for SP immunofluorescence (b´´´) more vesicles are visible compared to the red channel (b´´), which shows the autofluorescence of the PPTA-FusionRed fusion protein. However, secretory granules are acidic organelles, which increase their volume and acidity upon secretion (Pothos et al. 2002). With increasing acidity the autofluorescence of the fusion protein decreases due to acid quenching, which explains the mismatch between the number of secretory granules detected by the autofluorescence moiety of the FusionRed protein and SP immunofluorescence. (c-d´´´) Empty vector control for MCF-7 cells (c-c´´´) and AtT-20 cells (d-d´´´). The empty FusionRed vector without the PPTA protein moiety was expressed and an immunofluorescence analysis under identical conditions as in (a-a´´´) and (b-b´´´) was performed. The FusionRed autofluorescent protein is localized diffusely in the cytoplasm and in the cell nucleus (c´´, d´´). No unspecific crossreaction of the FRMD6 antiserum (c´, d´) with the FusionRed protein can be observed, nor any crossreaction of the SP immunofluorescence. Scale bar 10 µm |