Click here to close
Hello! We notice that you are using Internet Explorer, which is not supported by Xenbase and may cause the site to display incorrectly.
We suggest using a current version of Chrome,
FireFox, or Safari.
PLoS One
2014 Jan 01;99:e107902. doi: 10.1371/journal.pone.0107902.
Show Gene links
Show Anatomy links
Complex analysis of urate transporters SLC2A9, SLC22A12 and functional characterization of non-synonymous allelic variants of GLUT9 in the Czech population: no evidence of effect on hyperuricemia and gout.
Hurba O, Mancikova A, Krylov V, Pavlikova M, Pavelka K, Stibůrková B.
???displayArticle.abstract???
OBJECTIVE: Using European descent Czech populations, we performed a study of SLC2A9 and SLC22A12 genes previously identified as being associated with serum uric acid concentrations and gout. This is the first study of the impact of non-synonymous allelic variants on the function of GLUT9 except for patients suffering from renal hypouricemia type 2.
METHODS: The cohort consisted of 250 individuals (150 controls, 54 nonspecific hyperuricemics and 46 primary gout and/or hyperuricemia subjects). We analyzed 13 exons of SLC2A9 (GLUT9 variant 1 and GLUT9 variant 2) and 10 exons of SLC22A12 by PCR amplification and sequenced directly. Allelic variants were prepared and their urate uptake and subcellular localization were studied by Xenopus oocytes expression system. The functional studies were analyzed using the non-parametric Wilcoxon and Kruskall-Wallis tests; the association study used the Fisher exact test and linear regression approach.
RESULTS: We identified a total of 52 sequence variants (12 unpublished). Eight non-synonymous allelic variants were found only in SLC2A9: rs6820230, rs2276961, rs144196049, rs112404957, rs73225891, rs16890979, rs3733591 and rs2280205. None of these variants showed any significant difference in the expression of GLUT9 and in urate transport. In the association study, eight variants showed a possible association with hyperuricemia. However, seven of these were in introns and the one exon located variant, rs7932775, did not show a statistically significant association with serum uric acid concentration.
CONCLUSION: Our results did not confirm any effect of SLC22A12 and SLC2A9 variants on serum uric acid concentration. Our complex approach using association analysis together with functional and immunohistochemical characterization of non-synonymous allelic variants did not show any influence on expression, subcellular localization and urate uptake of GLUT9.
???displayArticle.pubmedLink???
25268603 ???displayArticle.pmcLink???PMC4182324 ???displayArticle.link???PLoS One
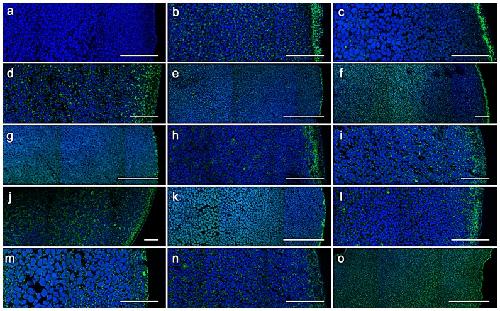
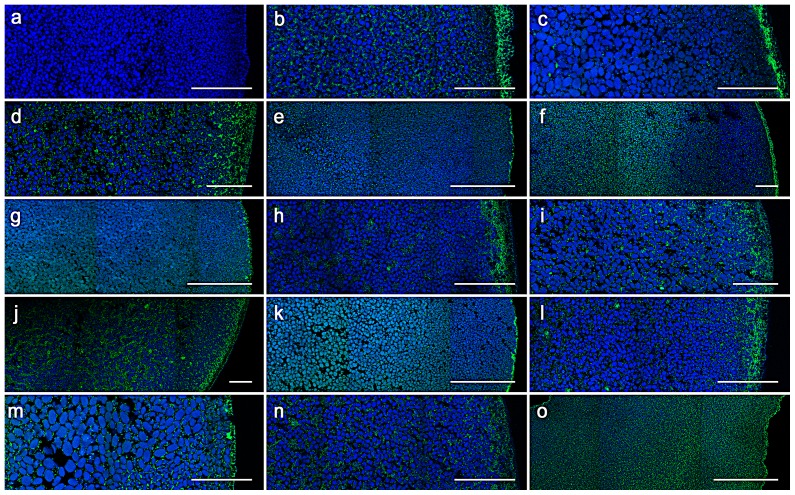
Figure 2. Immunocytochemical analysis of Xenopus oocytes.Immunocytochemical analysis of Xenopus oocytes injected with 50 ng of cRNA encoding the wild-type (wt) or mutant GLUT9 performed with rabbit anti-SLC2A9 polyclonal antibody. The signal of protein is green while autofluorescent granules in cytoplasm of oocytes give a blue signal. (a) Non-injected oocytes, (b) oocytes injected with wt cRNA GLUT9 variant 1, (c) oocytes injected with wt cRNA GLUT9 variant 2, (d) GLUT9 variant 2 A17T, (e) GLUT9 variant 1 G25R, (f) GLUT9 variant 1 V169M, (g) GLUT9 variant 2 V140M, (h) GLUT9 variant 2 T246M, (i) GLUT9 variant 2 D252H, (j) GLUT9 variant 1 V282I, (k) GLUT9 variant 2 V253I, (l) GLUT9 variant 1 R294H, (m) GLUT9 variant 2 R265H, (n) GLUT9 variant 1 P350L, (o) GLUT9 variant 2 P321L. Scale bar represents 50 µm.
Figure 3. Plot of -log10(p-value) for the analysis of association of studied allele variants with hyperuricemia/primary gout and serum uric acid concentration.The dependent variable is the -log10(p-value) of either the Fisher exact test for genotype distribution comparison (top and middle figure) or the -log10(p-value) of the goodness-of-fit test in the linear regression model with and without the respective variant (bottom figure).
Figure 4. SLC2A9 allelic variants.Alignment of the GLUT9 amino acids in the studied allelic variants with chimpanzee, horse, dog, mouse, rat and Xenopus paralogs.
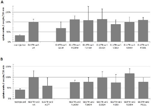
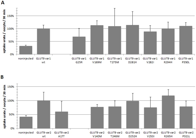
Figure 1. Urate uptake in oocytes.Transport activity is expressed as % urate uptake in oocytes injected with 50 ng of cRNA encoding the wild-type or the particular analyzed allelic variants. The uptake of 100 µM [14C]urate in oocytes was measured after 30 minutes incubation. Our experiments showed similar urate transport activity of GLUT9 variant 1 wt and GLUT9 variant 2 wt. GLUT9 wt variants were set to 100%. The average of six measurements each with five oocytes in group is shown and error bars represent standard error. (A) GLUT9 variant 1 (B) GLUT9 variant 2.
Anzai,
Plasma urate level is directly regulated by a voltage-driven urate efflux transporter URATv1 (SLC2A9) in humans.
2008, Pubmed,
Xenbase
Anzai,
Plasma urate level is directly regulated by a voltage-driven urate efflux transporter URATv1 (SLC2A9) in humans.
2008,
Pubmed
,
Xenbase Anzai,
New insights into renal transport of urate.
2007,
Pubmed Augustin,
Identification and characterization of human glucose transporter-like protein-9 (GLUT9): alternative splicing alters trafficking.
2004,
Pubmed
,
Xenbase Bahn,
Identification of a new urate and high affinity nicotinate transporter, hOAT10 (SLC22A13).
2008,
Pubmed
,
Xenbase Chong,
Molecular cloning of the cDNA encoding a human renal sodium phosphate transport protein and its assignment to chromosome 6p21.3-p23.
1993,
Pubmed Dehghan,
Association of three genetic loci with uric acid concentration and risk of gout: a genome-wide association study.
2008,
Pubmed Dinour,
Homozygous SLC2A9 mutations cause severe renal hypouricemia.
2010,
Pubmed
,
Xenbase Döring,
SLC2A9 influences uric acid concentrations with pronounced sex-specific effects.
2008,
Pubmed Ebrahimpour,
Serum uric acid levels and risk of metabolic syndrome in healthy adults.
2008,
Pubmed Ekaratanawong,
Human organic anion transporter 4 is a renal apical organic anion/dicarboxylate exchanger in the proximal tubules.
2004,
Pubmed Enomoto,
Molecular identification of a renal urate anion exchanger that regulates blood urate levels.
2002,
Pubmed
,
Xenbase Eraly,
Multiple organic anion transporters contribute to net renal excretion of uric acid.
2008,
Pubmed Hayden,
Uric acid: A new look at an old risk marker for cardiovascular disease, metabolic syndrome, and type 2 diabetes mellitus: The urate redox shuttle.
2004,
Pubmed Heinig,
Role of uric acid in hypertension, renal disease, and metabolic syndrome.
2006,
Pubmed Hollis-Moffatt,
Role of the urate transporter SLC2A9 gene in susceptibility to gout in New Zealand Māori, Pacific Island, and Caucasian case-control sample sets.
2009,
Pubmed Hollis-Moffatt,
The SLC2A9 nonsynonymous Arg265His variant and gout: evidence for a population-specific effect on severity.
2011,
Pubmed Ichida,
Clinical and molecular analysis of patients with renal hypouricemia in Japan-influence of URAT1 gene on urinary urate excretion.
2004,
Pubmed Janosíková,
Genetic variants of homocysteine metabolizing enzymes and the risk of coronary artery disease.
2003,
Pubmed Jutabha,
Human sodium phosphate transporter 4 (hNPT4/SLC17A3) as a common renal secretory pathway for drugs and urate.
2010,
Pubmed
,
Xenbase Karns,
Genome-wide association of serum uric acid concentration: replication of sequence variants in an island population of the Adriatic coast of Croatia.
2012,
Pubmed Kimura,
Expression of SLC2A9 isoforms in the kidney and their localization in polarized epithelial cells.
2014,
Pubmed Li,
Polymorphisms in the presumptive promoter region of the SLC2A9 gene are associated with gout in a Chinese male population.
2012,
Pubmed Li,
Multiple single nucleotide polymorphisms in the human urate transporter 1 (hURAT1) gene are associated with hyperuricaemia in Han Chinese.
2010,
Pubmed Matsuo,
Mutations in glucose transporter 9 gene SLC2A9 cause renal hypouricemia.
2008,
Pubmed Matsuo,
Common defects of ABCG2, a high-capacity urate exporter, cause gout: a function-based genetic analysis in a Japanese population.
2009,
Pubmed McArdle,
Association of a common nonsynonymous variant in GLUT9 with serum uric acid levels in old order amish.
2008,
Pubmed Nath,
Genome scan for determinants of serum uric acid variability.
2007,
Pubmed Sekine,
Expression cloning and characterization of a novel multispecific organic anion transporter.
1997,
Pubmed
,
Xenbase Stiburkova,
Acute kidney injury in two children caused by renal hypouricaemia type 2.
2012,
Pubmed Stiburkova,
Novel allelic variants and evidence for a prevalent mutation in URAT1 causing renal hypouricemia: biochemical, genetics and functional analysis.
2013,
Pubmed
,
Xenbase Stiburkova,
Novel homozygous insertion in SLC2A9 gene caused renal hypouricemia.
2011,
Pubmed Sulem,
Identification of low-frequency variants associated with gout and serum uric acid levels.
2011,
Pubmed Takiue,
The effect of female hormones upon urate transport systems in the mouse kidney.
2011,
Pubmed Tang,
Linkage analysis of a composite factor for the multiple metabolic syndrome: the National Heart, Lung, and Blood Institute Family Heart Study.
2003,
Pubmed Tin,
Genome-wide association study for serum urate concentrations and gout among African Americans identifies genomic risk loci and a novel URAT1 loss-of-function allele.
2011,
Pubmed Torres,
Absence of SLC22A12/URAT1 gene mutations in patients with primary gout.
2012,
Pubmed Tu,
Associations of a non-synonymous variant in SLC2A9 with gouty arthritis and uric acid levels in Han Chinese subjects and Solomon Islanders.
2010,
Pubmed Urano,
Sodium-dependent phosphate cotransporter type 1 sequence polymorphisms in male patients with gout.
2010,
Pubmed Vázquez-Mellado,
Molecular analysis of the SLC22A12 (URAT1) gene in patients with primary gout.
2007,
Pubmed Vitart,
SLC2A9 is a newly identified urate transporter influencing serum urate concentration, urate excretion and gout.
2008,
Pubmed
,
Xenbase Wallace,
Preliminary criteria for the classification of the acute arthritis of primary gout.
1977,
Pubmed Wilk,
Segregation analysis of serum uric acid in the NHLBI Family Heart Study.
2000,
Pubmed Woodward,
Identification of a urate transporter, ABCG2, with a common functional polymorphism causing gout.
2009,
Pubmed
,
Xenbase Yakut,
Absence of the SLC22A12 gene mutation in Turkish population with primary gout disease.
2013,
Pubmed Yang,
Genome-wide search for genes affecting serum uric acid levels: the Framingham Heart Study.
2005,
Pubmed