|
Fig. 1. Xnr3 injection induced an abnormal neural pattern in
Xenopus embryos. (A,B) Superficial phenotype of 2-day tadpole
after Xnr3 injection. (A) An uninjected embryo. (B) An embryo injected
with 100 pg of Xnr3 mRNA into the ventral animal pole (VAP)
region at the 4-cell stage. (C-N) Whole-mount in situ hybridization
(WISH) of stage-18 embryos. Normal embryos (C,E,G,I,K,M) and
embryos injected with 40 pg of Xnr3 mRNA into the VAP region
at the 4-cell stage (D,F,H,J,L,N) showing the spatial expression of
xOtx2 (C, D), Xrx1 (E, F), CG1 (G, H), krox20, En2, and xBF1 (I, J),
slug (K, L), and Sox2 (M, N). In (I,J), krox20/En2 expression extended
laterally (black arrow) and curved anteriorly (white arrow). In (K,L),
200 pg of lacZ was also injected. Arrows in (L) show the anterior
elongation of the slug expression domain. (O) Quantitative levels of
brain marker genes measured by RT-PCR. Experiments were carried
out with the anterior region dissected from stage-18 embryos. 0
pg (lane 1), 40 pg (lane 2), or 100 pg (lane 3) of Xnr3 mRNA were
injected into the VAP of 4-cell embryos, and the expressions of xOtx2
(lane 1), Xrx1 (column 2), xCG1 (column 3), krox20 (column 4), En2
(column 5), slug (column 6), Sox2 (column 7) and ODC (column 8)
were analyzed. (P-U) Expression patterns of neural markers in late
neurula after treatment of the embryos with RA. Expression of slug
(P-R), krox20, and xOtx2 (S-U). The embryos were treated with 5 x
10-7 M RA (Q,T) or 10-6 M RA (R,U). |
|
Fig. 2. Temporal changes in the specific neural pattern induced by Xnr3 injection. 100 pg of Xnr3
mRNA was injected into both ventro-animal hemispheres of 4-cell embryos (B,D,F,H,J,L,N,P,R). The
expression of krox20 (A-F), Xrx1 (G-L), or xOtx2 (M-R) were observed at Stage 14 (A,B,G,H,M,N),
Stage 16 (C,D,I,J,O,P) or Stage 18 (E,F,K,L,Q,R). The arrows in (E,F) indicate the neural-epidermal
boundary |
|
Fig. 3. The mature region of Xnr3 contributed to abnormal neural
patterning. (B-M) Spatial expression of neural marker genes was
observed by WISH. 750 pg of pXtnr3 (C,G,K), 100 pg of mXtnr3 (D,H,L),
or 40 pg of Xnr3 mRNA (E,I,M) was injected into the VAP region of
4-cell embryos. pXtnr3 and mXtnr3 indicate the pro-region and the
mature-region, respectively, of Xtnr3. Embryos were examined with
probes for krox20 and En2 (B-E), Xslug (F-I), xOtx2 (L-M). pXtnr3
did not affect the expression patterns, whereas mXtnr3 injection
induced patterns similar to those observed after injection of Xnr3.
Arrow indicates the change in expression pattern. (N) Synergistic
enhancement of the activity of mXtnr3 by pXtnr3 expression. Spatial
expression of En2/krox20 at stage 18 was assessed by WISH, and
the results are expressed in a bar graph. The severity of the effect
neural is categorized into three classes: Class 1, Class 2 and Class
3 are represented by white, orange and red, respectively. |
|
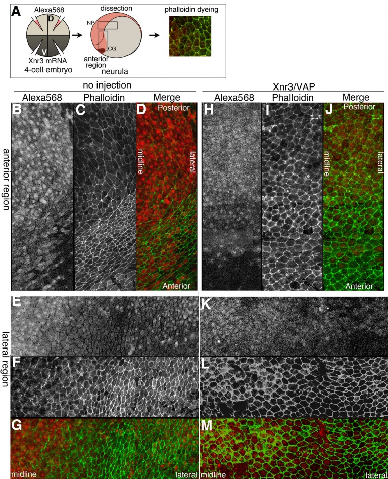
Fig. 4. Xnr3 injection specifically affected the shape of cells at the epidermal-neural
boundary. (A) The experimental procedure is illustrated in a schematic diagram. Alexa 568
and Xnr3 mRNA were injected into the DAP and the VAP region, respectively. At stage 18,
the epidermal-neural boundary regions of the anterior end of neural plate and lateral neural
plate were dissected and stained with phalloidin-Alexa488. (B-G) Double-fluorescent labeling
of the anterior (B-D) or lateral (E-G) region of a normal embryo. The Alexa568 dextran staining
pattern (B,E), the phalloidin staining pattern (C,F), and a merged image (D,G) are shown. The
Alexa568-positive region approximately shows the presumptive neural plate. (H-M) Doublestained
patterns in the anterior region (H-J) and lateral region (K-M) of an Xnr3-injected embryo.
The Alexa568 dextran staining pattern (H, K), the phalloidin staining pattern (I, L), and a merged image (J, M) are shown. |
|
Fig. 5. Xnr3 specifically caused defects in neuralepidermal
boundary cell migration. (A) Schematic
overview of the experiment. Alexa568-dextran (Red)
and 100 pg of Xnr3 mRNA were injected into the DAP
and VAP, respectively, of 4-cell embryos. After injecting
Alexa488 (Green) into one cell in the epidermal-neural
boundary region at the 128-cell stage, the injected
embryos were examined at three points of stage: NP,
neural plate; CG, cement gland. (B-G) Observation of
migratory cells labeled with Alexa488 dextran during
neurulation. Double-labeled embryos were injected
with 0 pg (B-D) or 100 pg of Xnr3 mRNA, and then
observed at stage 9 (B-G), stage 14 (Bâ-Gâ), or stage 18
(Bâ-Gâ). These embryos were all anteriorly viewed. B-Bâ
and E-Eâ are embryos in that Alexa488 was ventrally
injected. Similarly, C-Câ and F-Fâ, or D-Dâ and G-Gâ
are injected into dorso-anterior (around animal pole) or
into dorso-posterior (near marginal zone), respectively.
The white line indicates the midline, and the asterisk
marks the anterior end of the Alexa568-positive region.
The Alexa488-positive domain is indicated by a dotted
white line. The pink dots and the blue dots indicate the
anterior end and the posterior end, respectively, of the
Alexa488-positive area. (H,I) Summary of the results in
regard to the migration of ventral cells (H) and dorsal
(I) cells. In these diagrams, the result of normal embryo
(left half) and Xnr3 injected embryo (right half) is
shown. The red line and the short yellow line mark the
midline of the embryo and anterior end of neural groove,
respectively. The arrow indicates the movement of the
migratory cells from Stage 14 to Stage 18. Black and
Red arrows indicate mild changes and severe changes,
respectively, in comparison with normal embryos. (J)
Assessment of gastrulation defect by Xnr3 injection.
In the left picture, L1 indicates the distance between
the anterior end of the neural groove and the anterior
end of the Alexa568 region, and L2 indicates the diameter
of the embryo. L1/ L2 is shown in a bar graph.
The error bars represent the standard error (SE). The
numbers below the titles are the numbers of embryos
examined. (K) The angle between the yolk plug and the anterior end of the neural plate (angle 1, black bars), and the angle between the yolk plug and
the anterior end of the dorsal mesoderm (angle 2, red bars) are observed with half sections of the embryos. The results are shown in a bar graph. The
error bars represent the standard error (SE). The numbers below the titles are the numbers of embryos examined. |