Click here to close
Hello! We notice that you are using Internet Explorer, which is not supported by Xenbase and may cause the site to display incorrectly.
We suggest using a current version of Chrome,
FireFox, or Safari.
???displayArticle.abstract???
Progesterone triggers resumption of the first meiotic division in the Rana pipiens oocyte by binding to the N-terminal external loop of the catalytic subunit of Na/K-ATPase, releasing a cascade of lipid second messengers. This is followed by internalization of specific membrane proteins, plasma membrane depolarization and nuclear membrane breakdown, culminating in arrest at second metaphase. Progesterone initiates an increase in phosphoryl potential during the first meiotic division, resulting in the accumulation of high energy protein phosphate by second metaphase arrest. 31P-NMR, with saturation transfer, demonstrates that the phosphocreatine level rises ~2 fold and that the "pseudo" first order rate constant for the creatine kinase reaction falls to ~20% of the control by the onset of nuclear membrane breakdown. 32PO4 pulse-labeling reveals a net increase in phosphorylation of yolk protein phosvitin during this period. The increased yolk protein phosphorylation coincides with internalization of membrane Na/K-ATPase and membrane depolarizatio These results indicate that progesterone binding to the catalytic subunit of the Na-pump diverts ATP from cation regulation at the plasma membrane to storage of high energy phosphate in yolk protein. Phosvitin serves as a major energy source during fertilization and early cleavage stages and is also a storage site for cations (e.g. Na+, K+, Ca2+, Fe2+/3+) essential for embryonic development.
???displayArticle.pubmedLink???
22054214 ???displayArticle.pmcLink???PMC3248852 ???displayArticle.link???BMC Dev Biol ???displayArticle.grants???[+]
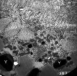
Figure 1. A transmission electron micrograph (×12,000) of a prophase-arrested, untreated ovarian follicle from hibernating Rana pipiens. An area of the oocyte cortex with vitelline membrane (VM), oocyte surface microvilli, cortical granules (CG) and yolk platelets (Y) was selected. Annulate lamellae (membrane array below center of figure), numerous mitochondria and other vesicles are visible. Follicles were fixed sequentially with OsO4 and glutaraldehyde and post-fixed in 1% buffered OsO4 for 1.5 h as described [18]. Samples were embedded in Epon and 50 to 80 nm sections were stained with uranyl acetate and then counter stained with lead citrate. Micrographs were taken using a Jeol 100 CX electron microscope at 80 KV.
Figure 2. 31P-NMR spectra of 200-250 Rana pipiens follicles in meiotic prophase-arrest obtained with (lower) and without (upper) the use of convolution difference to minimize the broad phosphoprotein signal. Sampling time was 40 min; follicles were superfused with Ringer's solution at 1 ml/min as illustrated in Figure 8.
Figure 3. 31P saturation transfer NMR spectra of untreated Rana Pipiens follicles. Arrows indicate where saturation was alternately applied. Upper spectra (A): 31P NMR showing saturation transfer from γP → PCr. The control spectrum with saturating RF placed off-resonance (upper trace), the spectrum with γP resonance saturated (middle trace) and the difference spectrum (lower trace) are compared. Lower spectra (B): 31P NMR saturation transfer results for PCr → γP. The control spectrum (a), the spectrum with PCr saturated (b), and the difference spectrum (a - b). Each spectrum was obtained with a selective low power RF pulse of 5 sec duration placed in the labeled (arrow) position, followed by a 90° nonselective observation pulse and a 0.8 sec acquisition time. A total of 1000 transients were collected at 20°C for each spectrum by alternating the saturating RF between an off resonance and the γP (or PCr) peak positions after each block of 100 transients, as described in the text. A line-broadening of 100 Hz was applied to each spectrum. The large peaks in the difference spectra are due to incomplete cancellation of the overwhelming phosvitin signal.
Figure 4. A comparison of the saturation transfer difference spectra of follicles superfused with Ringer's solution (control, upper spectrum) and Ringer's solution containing inducing levels (3.2 UM) of progesterone (lower spectrum) at 20-22°C. The midpoint of the spectral data aquisition corresponded to a 5.5 h exposure to progesterone. A marked decrease in the γP → PCr saturation transfer effect is observed in progesterone-treated oocytes. Again, the large inverted peaks are due to incomplete cancellation of the overwhelming phosvitin signal.
Figure 5. Comparison of changes in the NMR-measured pseudo first order rate constant (kf) for the reaction PCr → ATP and the time course of nuclear membrane breakdown during the first 10 h. Values are expressed as a percent of those for untreated follicles from the same female.
Figure 6. Comparison of 32PO4 uptake by control and progesterone-treated Rana pipiens ovarian follicles. Upper panel: in-vitro [32PO4] uptake by control and progesterone-treated denuded oocytes. Oocytes were incubated in Ringers' solution containing 0.08 mM NaHPO4 and 32PO4 uptake is expressed as μmols/1 cell water. Lower panel: oocytes from the upper panel were homogenized in 7% TCA and protein isolated as described in Methods. 32PO4 uptake into total protein is expressed as μmols/kg wet weight.
Figure 7. Predicted structure of the frog phosvitin component of Vitellogenin-A2 (1807 amino acids; Accession #P18709). The Protein Structure Prediction Server (PSIPRED) [16] was used to examine the possible conformation of the serine-rich phosvitin sequence (ca. 1126 - 1321). Line 1 indicates the confidence of the prediction, line 2 the relative position of each helix, line 3 whether the residue is part of a helix, strand or coil (see legend), and line 4 indicates the amino acid. Going from N- to C-terminal end, the sequence contains blocks of 38, 8, 28, 13 and 13 serine residues.
Figure 8. Diagram of the apparatus used to superfuse 200-250 isolated Rana pipiens follicles loosely packed in a 10 mm diameter NMR tube containing modified Ringer's solution. Measurements were made at 20-22°C in Ringers solution with or without progesterone. Using two peristaltic pumps, follicles were continuously superfused by introducing aerated Ringer's solution at the bottom of the NMR tube (1 ml/min) and drawing medium off at the top of the tube. As shown, effluent was discarded and not recycled.
Anderson,
Caveolae: where incoming and outgoing messengers meet.
1993, Pubmed
Anderson,
Caveolae: where incoming and outgoing messengers meet.
1993,
Pubmed Bement,
Transformation of the amphibian oocyte into the egg: structural and biochemical events.
1990,
Pubmed
,
Xenbase Dersch,
Cortical membrane-trafficking during the meiotic resumption of Xenopus laevis oocytes.
1991,
Pubmed
,
Xenbase Dowd,
31P NMR and saturation transfer studies of the effect of Pb2+ on cultured osteoblastic bone cells.
1990,
Pubmed Dumont,
Oogenesis in Xenopus laevis (Daudin). I. Stages of oocyte development in laboratory maintained animals.
1972,
Pubmed
,
Xenbase Fagotto,
Changes in yolk platelet pH during Xenopus laevis development correlate with yolk utilization. A quantitative confocal microscopy study.
1994,
Pubmed
,
Xenbase Finn,
Vertebrate yolk complexes and the functional implications of phosvitins and other subdomains in vitellogenins.
2007,
Pubmed Goulas,
Oligophosphopeptides of varied structural complexity derived from the egg phosphoprotein, phosvitin.
1996,
Pubmed
,
Xenbase Grant,
The generation of labile, protein-bound phosphate by phosphoprotein oxidation linked to the autoxidation of ferrous ion.
1966,
Pubmed GREENGARD,
PHOSVITIN, THE IRON CARRIER OF EGG YOLK.
1964,
Pubmed Grogan,
Phosphorus nuclear magnetic resonance of diverse phosvitin species.
1990,
Pubmed
,
Xenbase Gupta,
NMR studies of intracellular sodium ions in amphibian oocytes, ovulated eggs, and early embryos.
1985,
Pubmed Jones,
Protein secondary structure prediction based on position-specific scoring matrices.
1999,
Pubmed Joubert,
Cardiac creatine kinase metabolite compartments revealed by NMR magnetization transfer spectroscopy and subcellular fractionation.
2001,
Pubmed KARASAKI,
Studies on amphibian yolk 1. The ultrastructure of the yolk platelet.
1963,
Pubmed Kessel,
Fine structure of annulate lamellae.
1968,
Pubmed Liu,
Role of caveolae in signal-transducing function of cardiac Na+/K+-ATPase.
2003,
Pubmed Maller,
Changes in protein phosphorylation accompanying maturation of Xenopus laevis oocytes.
1977,
Pubmed
,
Xenbase Mano,
Enzymatic phosphorylation of fish phosvitin.
1966,
Pubmed Mano,
Characteristics of phosphoproteins (phosvitins) from a varitey of fish roes.
1966,
Pubmed McCollum,
Phosvitin isolation from fish eggs: methodological improvements including 'specific' phosvitin precipitation with ferric ion.
1986,
Pubmed Morrill,
Progesterone binding to the alpha1-subunit of the Na/K-ATPase on the cell surface: insights from computational modeling.
2008,
Pubmed Morrill,
Sequential forms of ATPase activity correlated with changes in cation binding and membrane potential from meiosis to first clevage in R. pipiens.
1971,
Pubmed Morrill,
Endocytosis in the amphibian oocyte. Effect of insulin and progesterone on membrane and fluid internalization during the meiotic divisions.
1984,
Pubmed Morrill,
Role of calcium in regulating intracellular pH following the stepwise release of the metabolic blocks at first-meiotic prophase and second-meiotic metaphase in amphibian oocytes.
1984,
Pubmed Morrill,
The steroid-binding subunit of the Na/K-ATPase as a progesterone receptor on the amphibian oocyte plasma membrane.
2005,
Pubmed Morrill,
Role for protein phosphorylation in meiosis and in the early cleavage phase of amphibian embryonic development.
1972,
Pubmed Morrill,
Progesterone modulation of transmembrane helix-helix interactions between the alpha-subunit of Na/K-ATPase and phospholipid N-methyltransferase in the oocyte plasma membrane.
2010,
Pubmed Nuccitelli,
31P NMR reveals increased intracellular pH after fertilization in Xenopus eggs.
1981,
Pubmed
,
Xenbase Nunnally,
Adenosine triphosphate compartmentation in living hearts: a phosphorus nuclear magnetic resonance saturation transfer study.
1979,
Pubmed RABINOWITZ,
Reversible phosphate transfer between yolk phosphoprotein and adenosine triphosphate.
1960,
Pubmed Redshaw,
The crystalline yolk-platelet proteins and their soluble plasma precursor in an amphibian, Xenopus laevis.
1971,
Pubmed
,
Xenbase Rosenstein,
Mechanism of the oxidative dephosphorylation of the phosphoprotein phosvitin.
1970,
Pubmed Schatz,
Studies on the relative roles of pituitary and progesterone in the induction of meiotic maturation in the amphibian oocyte.
1979,
Pubmed Schatz,
The role of follicle cells in Rana pipiens oocyte maturation induced by delta 5-pregnenolone.
1979,
Pubmed Smith,
Measurement of protein using bicinchoninic acid.
1985,
Pubmed TABORSKY,
Interaction between phosvitin and iron and its effect on a rearrangement of phosvitin structure.
1963,
Pubmed Weinstein,
Increased Potassium Conductance in Rana Follicles after Stimulation by Pituitary Extract: (amphibian follicle/meiotic maturation/gonadotropin/K+ conductance/gap junctions).
1983,
Pubmed Weinstein,
Progesterone-induced down-regulation of electrogenic Na+, K+-ATPase during the first meiotic division in amphibian oocytes.
1982,
Pubmed WILLIAMS,
The grouping of serine phosphate residues in phosvitin and casein.
1959,
Pubmed Xie,
Na(+)/K(+)-ATPase as a signal transducer.
2002,
Pubmed Ziegler,
Regulation of the amphibian oocyte plasma membrane ion permeability by cytoplasmic factors during the first meiotic division.
1977,
Pubmed