XB-ART-42932
Front Neuroanat
2011 Mar 02;5:11. doi: 10.3389/fnana.2011.00011.
Show Gene links
Show Anatomy links
Ontogenetic distribution of the transcription factor nkx2.2 in the developing forebrain of Xenopus laevis.
Domínguez L, González A, Moreno N.
???displayArticle.abstract???
The expression of the Nkx2.2 gene is involved in the organization of the alar-basal boundary in the forebrain of vertebrates. Its expression in different diencephalic and telencephalic regions, helped to define distinct progenitor domains in mouse and chick. Here we investigated the pattern of Nkx2.2 protein distribution throughout the development of the forebrain of the anuran amphibian, Xenopus laevis. We used immunohistochemical and in situ hybridization techniques for its detection in combination with other essential territorial markers in the forebrain. No expression was observed in the telencephalon. In the alar hypothalamus, Nkx2.2 positive cells were scattered in the suprachiasmatic territory, but also in the supraopto-paraventricular area, as defined by the expression of the transcription factor Orthopedia (Otp) and the lack of xDll4. In the basal hypothalamus Nkx2.2 expressing cells were localized in the tuberal region, with the exception of the arcuate nucleus, rich in Otp expressing cells. In the diencephalon it was expressed in all three prosomeres (P1-P3) and not in the zona limitans intrathalamica. The presence of Nkx2.2 expressing cells in P3 was restricted to the alar portion, as well as in prosomere P2, whereas in P1 the Nkx2.2 expressing cells were located in the basal plate and identified the alar/basal boundary. These results showed that Nkx2.2 and Sonic hedgehog are expressed in parallel adjacent stripes along the anterior-posterior axis. The results of this study showed a conserved distribution pattern of Nkx2.2 among vertebrates, crucial to recognize subdivisions that are otherwise indistinct, and supported the relevance of this transcription factor in the organization of the forebrain, particularly in the delineation of the alar/basal boundary of the forebrain.
???displayArticle.pubmedLink??? 21415915
???displayArticle.pmcLink??? PMC3049246
???displayArticle.link??? Front Neuroanat
Species referenced: Xenopus laevis
Genes referenced: dll4 dlx2 nkx2-1 nkx2-2 otp pax6 shh sst tbr1 tff3.7 trhd tub
???attribute.lit??? ???displayArticles.show???
|
|
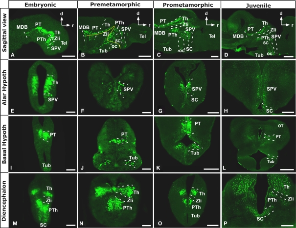
Figure 1. Photomicrographs of sagittal (AâD) and transverse (EâP) sections through the Xenopus forebrain subdivisions along the different representative developmental stages. The sagittal sections show the almost continuous Nkx2.2 expression from anterior hypothalamic areas to the most caudal regions of the forebrain (AâD). Nkx2.2 is not expressed in telencephalic areas, from embryonic stages through the adult. Nkx2.2 expression starts in the SPV territory of the alar hypothalamus (EâH). In the basal hypothalamus Nkx2.2 expression is restricted to the tuberal hypothalamus (IâL). In the diencephalon, Nkx2.2 is observed in the three prosomeres (P1âP3) and the Zli lacks Nkx2.2 expressing cells (IâP). Abbreviations: Arc, nucleus arcuatus; BH, basal hypothalamus; MB, mammillary band; MDB, midbrain-diencephalic boundary; OB, olfactory bulb; oc, optic chiasm; OT, optic tectum; P1-P3, diencephalic prosomeres 1â3; Pa, pallium; POC, preoptic commissural area/commissural septo-preoptic area; PO, preoptic area; PT, pretectum; PTh, prethalamus; PThE, prethalamic eminence; PV, paraventricular nucleus; SC, suprachiasmatic nucleus; SPa, subpallium; SPV, supraopto-paraventricular area; Tel, telencephalon; Th, thalamus; TP, posterior tubercle; Tub, tuberal area; ZI, zona incerta; Zli, zona limitans intrathalamica. Scale bars: 500âμm (D,L), 200âμm (C,G,H,K,O,P), 100âμm (A,B), and 50âμm (E,F,I,J,M,N). |
|
|
Figure 2. Photomicrographs of sagittal (A,D–G,I) and transverse (B,C,E′,H) sections through the alar hypothalamus illustrating the Nkx2. 2 expression in combination with several hypothalamic markers. The most anterior Nkx2.2 expressing cells are observed in the SPV (the Otp expressing territory) during development (A,B,E,E′), in the region where it colocalizes with mesotocin (C,F,F′) and somatostatin (D), but only a subpopulation of the SPV cells coexpress Nkx2.2 and Otp [see arrow in (B,E,E′)]. At suprachiasmatic levels, the Nkx2.2 positive cells are located in the catecholaminergic (G,G′,H) and xDll4 (I) expressing region, constituting an independent territory within this domain (G–I). The yellow lines in (A,E,G) indicate the level of the sections of (B,E′,H), respectively. Yellow boxes in (F,G) indicate the higher magnifications shown in (F′,G′), respectively. Abbreviations as in Figure 1. Scale bars: 500 μm (F), 200 μm (E,E′,G), 100 μm (D,H) and 50 μm (A,B,C,F′,G′,I). |
|
|
Figure 3. Photomicrographs of transverse (A,C,D) and sagittal (B,E) sections through the basal hypothalamus illustrating the Nkx2. 2 expression in combination with several hypothalamic markers. The Nkx2.1 expression confirms that the limited Nkx2.2 expression found in the basal hypothalamic territory is situated in the tuberal region (A), restricted to the anterior part [asterisk in (B)] and avoiding the nucleus arcuatus, labeled for Otp (B,C), and the mammillary band, defined by TH (D) and xDll4 (E,E′). Yellow box in e indicates the area shown in higher magnification in e′. Abbreviations as in Figure 1. Scale bars: 100 μm (B,E), 50 μm (A,C,D,E′). |
|
|
Figure 4. Photomicrographs of transverse (A,E,F,G) and sagittal (B,C,D) sections through the diencephalon illustrating the Nkx2. 2 expression in combination with diverse diencephalic markers. The prethalamic eminence, rich in Tbr1 (A), was devoid of Nkx2.2 expression, in contrast to the prethalamus, defined by the Pax6 (B) and xDll4 expressions (C). The yellow box in d shows a higher magnification of the Nkx2.2/GABA double labeled cells found in the thalamus [see arrowheads in (D,D′)]. The double labeling Nkx2.2/Nkx2.1 (E) and Nkx2.2/TH (F) define the position of the Nkx2.2 cells in the zona incerta of the prethalamus. The xShh diencephalic expression defines the lack of Nkx2.2 expression in the Zli (zona limitans intrathalamica) (G). Abbreviations as in Figure 1. Scale bars: 100 μm (B,C,D), 50 μm (A,E,F,G), 25 μm (D′). |
|
|
Figure 5. Photomicrographs of transverse (A,B) and horizontal (C) sections through the forebrain illustrating Nkx2. 2 expression in combination with xShh. The expressions of Nkx2.2 and xShh extend along the anterior–posterior axis in parallel adjacent stripes, forming longitudinal columns along the forebrain. Abbreviations as in Figure 1. Scale bars: 50 μm. |
|
|
Figure 6. Schematic drawings of sagittal and coronal sections through a premetamorphic brain of Xenopus laevis illustrating the distribution of Nkx2. 2 expressing zones (green regions in the sagittal view) and cells (green dots in the coronal view) along the forebrain. The appropriated levels of the coronal sections are indicated in the sagittal view. Abbreviations as in Figure 1. |
References [+] :
Abellán,
Subdivisions and derivatives of the chicken subpallium based on expression of LIM and other regulatory genes and markers of neuron subpopulations during development.
2009, Pubmed
Abellán, Subdivisions and derivatives of the chicken subpallium based on expression of LIM and other regulatory genes and markers of neuron subpopulations during development. 2009, Pubmed
Acampora, Progressive impairment of developing neuroendocrine cell lineages in the hypothalamus of mice lacking the Orthopedia gene. 1999, Pubmed
Acampora, The role of Otx and Otp genes in brain development. 2000, Pubmed
Airaksinen, Comparative neuroanatomy of the histaminergic system in the brain of the frog Xenopus laevis. 1990, Pubmed , Xenbase
Bachy, Defining pallial and subpallial divisions in the developing Xenopus forebrain. 2002, Pubmed , Xenbase
Bachy, The LIM-homeodomain gene family in the developing Xenopus brain: conservation and divergences with the mouse related to the evolution of the forebrain. 2001, Pubmed , Xenbase
Bardet, Ontogenetic expression of sonic hedgehog in the chicken subpallium. 2010, Pubmed
Bardet, Chicken lateral septal organ and other circumventricular organs form in a striatal subdomain abutting the molecular striatopallidal border. 2006, Pubmed
Bardet, Conserved pattern of OTP-positive cells in the paraventricular nucleus and other hypothalamic sites of tetrapods. 2008, Pubmed
Barth, Expression of zebrafish nk2.2 is influenced by sonic hedgehog/vertebrate hedgehog-1 and demarcates a zone of neuronal differentiation in the embryonic forebrain. 1995, Pubmed
Bläsher, Immunoreactive neuropeptide systems in avian embryos (domestic mallard, domestic fowl, Japanese quail). 1982, Pubmed
Blechman, Specification of hypothalamic neurons by dual regulation of the homeodomain protein Orthopedia. 2007, Pubmed
Braun, Wnt signaling is required at distinct stages of development for the induction of the posterior forebrain. 2003, Pubmed
Briscoe, A homeodomain protein code specifies progenitor cell identity and neuronal fate in the ventral neural tube. 2000, Pubmed
Briscoe, The specification of neuronal identity by graded Sonic Hedgehog signalling. 1999, Pubmed
Brox, Expression of the genes Emx1, Tbr1, and Eomes (Tbr2) in the telencephalon of Xenopus laevis confirms the existence of a ventral pallial division in all tetrapods. 2004, Pubmed , Xenbase
Brox, Expression of the genes GAD67 and Distal-less-4 in the forebrain of Xenopus laevis confirms a common pattern in tetrapods. 2003, Pubmed , Xenbase
Del Giacco, Differential regulation of the zebrafish orthopedia 1 gene during fate determination of diencephalic neurons. 2006, Pubmed
Del Giacco, A peek inside the neurosecretory brain through Orthopedia lenses. 2008, Pubmed
Domínguez, Sonic hedgehog expression during Xenopus laevis forebrain development. 2010, Pubmed , Xenbase
Eaton, Ontogeny of vasotocin-expressing cells in zebrafish: selective requirement for the transcriptional regulators orthopedia and single-minded 1 in the preoptic area. 2008, Pubmed
Eaton, Zebrafish orthopedia (otp) is required for isotocin cell development. 2007, Pubmed
Echevarría, Neuroepithelial secondary organizers and cell fate specification in the developing brain. 2003, Pubmed
Ekker, Distinct expression and shared activities of members of the hedgehog gene family of Xenopus laevis. 1995, Pubmed , Xenbase
Ericson, Pax6 controls progenitor cell identity and neuronal fate in response to graded Shh signaling. 1997, Pubmed , Xenbase
Ferran, Genoarchitectonic profile of developing nuclear groups in the chicken pretectum. 2009, Pubmed
Flames, Delineation of multiple subpallial progenitor domains by the combinatorial expression of transcriptional codes. 2007, Pubmed
Fode, A role for neural determination genes in specifying the dorsoventral identity of telencephalic neurons. 2000, Pubmed
Fuccillo, Removal of Pax6 partially rescues the loss of ventral structures in Shh null mice. 2006, Pubmed
Garcia-Lopez, Fate map of the diencephalon and the zona limitans at the 10-somites stage in chick embryos. 2004, Pubmed
García-López, Histogenetic compartments of the mouse centromedial and extended amygdala based on gene expression patterns during development. 2008, Pubmed
González, Regional expression of the homeobox gene NKX2-1 defines pallidal and interneuronal populations in the basal ganglia of amphibians. 2002, Pubmed , Xenbase
González, Ontogeny of vasotocinergic and mesotocinergic systems in the brain of the South African clawed frog Xenopus laevis. 1995, Pubmed , Xenbase
González, Somatostatin-like immunoreactivity in the brain of the urodele amphibian Pleurodeles waltl. Colocalization with catecholamines and nitric oxide. 2003, Pubmed
González, Distribution of tyrosine hydroxylase and dopamine immunoreactivities in the brain of the South African clawed frog Xenopus laevis. 1993, Pubmed , Xenbase
González, Expression pattern of the homeobox protein NKX2-1 in the developing Xenopus forebrain. 2002, Pubmed , Xenbase
González, Ontogeny of catecholamine systems in the central nervous system of anuran amphibians: an immunohistochemical study with antibodies against tyrosine hydroxylase and dopamine. 1994, Pubmed , Xenbase
Goshu, Sim2 contributes to neuroendocrine hormone gene expression in the anterior hypothalamus. 2004, Pubmed
Hashimoto-Torii, Differential activities of Sonic hedgehog mediated by Gli transcription factors define distinct neuronal subtypes in the dorsal thalamus. 2003, Pubmed
Holland, Characterization and developmental expression of AmphiNk2-2, an NK2 class homeobox gene from Amphioxus. (Phylum Chordata; Subphylum Cephalochordata). 1998, Pubmed
Jiménez, vnd, a gene required for early neurogenesis of Drosophila, encodes a homeodomain protein. 1995, Pubmed
Kataoka, Fgf8 controls regional identity in the developing thalamus. 2008, Pubmed
Kiecker, Hedgehog signaling from the ZLI regulates diencephalic regional identity. 2004, Pubmed
Kim, Drosophila NK-homeobox genes. 1989, Pubmed
Kimura, The T/ebp null mouse: thyroid-specific enhancer-binding protein is essential for the organogenesis of the thyroid, lung, ventral forebrain, and pituitary. 1996, Pubmed
Kitamura, Expression patterns of Brx1 (Rieg gene), Sonic hedgehog, Nkx2.2, Dlx1 and Arx during zona limitans intrathalamica and embryonic ventral lateral geniculate nuclear formation. 1997, Pubmed
Kramer, Functional organization of the suprachiasmatic nucleus of Xenopus laevis in relation to background adaptation. 2001, Pubmed , Xenbase
Lin, Identification, chromosomal assignment, and expression analysis of the human homeodomain-containing gene Orthopedia (OTP). 1999, Pubmed
López, Distribution of somatostatin-like immunoreactivity in the brain of the caecilian Dermophis mexicanus (Amphibia: Gymnophiona): comparative aspects in amphibians. 2007, Pubmed
Marín, Patterning of the basal telencephalon and hypothalamus is essential for guidance of cortical projections. 2002, Pubmed
Martínez-de-la-Torre, Gbx2 expression in the late embryonic chick dorsal thalamus. , Pubmed
Menuet, Expanded expression of Sonic Hedgehog in Astyanax cavefish: multiple consequences on forebrain development and evolution. 2007, Pubmed
Michaud, The developmental program of the hypothalamus and its disorders. 2001, Pubmed
Milán, Patterns of calretinin, calbindin, and tyrosine-hydroxylase expression are consistent with the prosomeric map of the frog diencephalon. 2000, Pubmed , Xenbase
Moreno, LIM-homeodomain genes as territory markers in the brainstem of adult and developing Xenopus laevis. 2005, Pubmed , Xenbase
Moreno, Pallial origin of mitral cells in the olfactory bulbs of Xenopus. 2003, Pubmed , Xenbase
Moreno, LIM-homeodomain genes as developmental and adult genetic markers of Xenopus forebrain functional subdivisions. 2004, Pubmed , Xenbase
Moreno, Spatio-temporal expression of Pax6 in Xenopus forebrain. 2008, Pubmed , Xenbase
Moreno, Subdivisions of the turtle Pseudemys scripta subpallium based on the expression of regulatory genes and neuronal markers. 2010, Pubmed
Moreno, Islet1 as a marker of subdivisions and cell types in the developing forebrain of Xenopus. 2008, Pubmed , Xenbase
Morona, Embryonic genoarchitecture of the pretectum in Xenopus laevis: a conserved pattern in tetrapods. 2011, Pubmed , Xenbase
Morona, Calbindin-D28k and calretinin expression in the forebrain of anuran and urodele amphibians: further support for newly identified subdivisions. 2008, Pubmed , Xenbase
Osorio, Organisation of the lamprey (Lampetra fluviatilis) embryonic brain: insights from LIM-homeodomain, Pax and hedgehog genes. 2005, Pubmed
Osório, Dynamic expression of the LIM-homeodomain gene Lhx15 through larval brain development of the sea lamprey (Petromyzon marinus). 2006, Pubmed
Papalopulu, Xenopus Distal-less related homeobox genes are expressed in the developing forebrain and are induced by planar signals. 1993, Pubmed , Xenbase
Petkó, Distribution of somatostatin-immunoreactive structures in the central nervous system of the frog, Rana esculenta. 1996, Pubmed
Prakash, Genetic networks controlling the development of midbrain dopaminergic neurons. 2006, Pubmed
Pratt, A role for Pax6 in the normal development of dorsal thalamus and its cortical connections. 2000, Pubmed
Price, Regional expression of the homeobox gene Nkx-2.2 in the developing mammalian forebrain. 1992, Pubmed
Puelles, Pallial and subpallial derivatives in the embryonic chick and mouse telencephalon, traced by the expression of the genes Dlx-2, Emx-1, Nkx-2.1, Pax-6, and Tbr-1. 2000, Pubmed
Puelles, Expression patterns of homeobox and other putative regulatory genes in the embryonic mouse forebrain suggest a neuromeric organization. 1993, Pubmed
Puelles, Forebrain gene expression domains and the evolving prosomeric model. 2003, Pubmed
Redies, Cadherins in the central nervous system. 2000, Pubmed
Rohr, The nodal pathway acts upstream of hedgehog signaling to specify ventral telencephalic identity. 2001, Pubmed
Ryu, Orthopedia homeodomain protein is essential for diencephalic dopaminergic neuron development. 2007, Pubmed
Sander, Ventral neural patterning by Nkx homeobox genes: Nkx6.1 controls somatic motor neuron and ventral interneuron fates. 2000, Pubmed
Schäfer, Hedgehog and retinoid signalling confines nkx2.2b expression to the lateral floor plate of the zebrafish trunk. 2005, Pubmed
Scholpp, Hedgehog signalling from the zona limitans intrathalamica orchestrates patterning of the zebrafish diencephalon. 2006, Pubmed
Shimamura, Inductive interactions direct early regionalization of the mouse forebrain. 1997, Pubmed
Shimogori, A genomic atlas of mouse hypothalamic development. 2010, Pubmed
Simeone, Orthopedia, a novel homeobox-containing gene expressed in the developing CNS of both mouse and Drosophila. 1994, Pubmed
Smeets, Catecholamine systems in the brain of vertebrates: new perspectives through a comparative approach. 2000, Pubmed
Sussel, Loss of Nkx2.1 homeobox gene function results in a ventral to dorsal molecular respecification within the basal telencephalon: evidence for a transformation of the pallidum into the striatum. 1999, Pubmed
Szabó, The role of Sonic hedgehog of neural origin in thalamic differentiation in the mouse. 2009, Pubmed
Szabó, Role of neuroepithelial Sonic hedgehog in hypothalamic patterning. 2009, Pubmed
Takuma, Formation of Rathke's pouch requires dual induction from the diencephalon. 1998, Pubmed
van den Akker, Comparative functional analysis provides evidence for a crucial role for the homeobox gene Nkx2.1/Titf-1 in forebrain evolution. 2008, Pubmed , Xenbase
Vieira, Sonic hedgehog from the basal plate and the zona limitans intrathalamica exhibits differential activity on diencephalic molecular regionalization and nuclear structure. 2006, Pubmed
Vieira, Molecular mechanisms controlling brain development: an overview of neuroepithelial secondary organizers. 2010, Pubmed
Vieira, Thalamic development induced by Shh in the chick embryo. 2005, Pubmed
Vue, Characterization of progenitor domains in the developing mouse thalamus. 2007, Pubmed
Wang, The murine Otp homeobox gene plays an essential role in the specification of neuronal cell lineages in the developing hypothalamus. 2000, Pubmed
Wilson, Border disputes: do boundaries play a role in growth-cone guidance? 1993, Pubmed
