Click here to close
Hello! We notice that you are using Internet Explorer, which is not supported by Xenbase and may cause the site to display incorrectly.
We suggest using a current version of Chrome,
FireFox, or Safari.
???displayArticle.abstract???
Reticulon 4a (Rtn4a) is a membrane protein that shapes tubules of the endoplasmic reticulum (ER). The ER is attached to the nuclear envelope (NE) during interphase and has a role in post mitotic/meiotic NE reassembly. We speculated that Rtn4a has a role in NE dynamics. Using immuno-electron microscopy we found that Rtn4a is located at junctions between membranes in the cytoplasm, and between cytoplasmic membranes and the outer nuclear membrane in growing Xenopus oocyte nuclei. We found that during NE assembly in Xenopus egg extracts, Rtn4a localises to the edges of membranes that are flattening onto the chromatin. These results demonstrate that Rtn4a locates to regions of high membrane curvature in the ER and the assembling NE. Previously it was shown that incubation of egg extracts with antibodies against Rtn4a caused ER to form into large vesicles instead of tubules. To test whether Rtn4a contributes to NE assembly, we added the same Rtn4a antibody to nuclear assembly reactions. Chromatin was enclosed by membranes containing nuclear pore complexes, but nuclei did not grow. Instead large sacs of ER membranes attached to, but did not integrate into the NE. It is possible therefore that Rtn4a may have a role in NE assembly.
Fig. 1. Membrane structures associated with stage III oocyte NEs have Rtn4a at their membrane-membrane junction. (a and b) feiSEM of strings of vesicle-like structures at the NE showing 20 nm bridges (arrows) and ribosomes (arrowheads). (c) TEM of strings of vesicle-like structure at the NE showing bridges (arrows). (d and e) Rtn4a immuno-gold labelling of strings of vesicle-like structures at the connecting tubule. (f) Some vesicle-like structures have dense labelling of Rtn4a more evenly distributed over the surface. (g and h) Localisation of Rtn4a at the junction between larger membrane structures. (i) TEM sections of oocyte cytoplasmic membranes immuno-gold labelled for Rtn4a (arrows). (j) Our interpretation of these structures and the localisation of Rtn4a. Circles mark the position of immuno-gold particles determined by superimposing a simultaneously obtained backscatter electron image (see Section 4.1).
Fig. 2. Immuno-gold labelling shows Rtn4a localises to NE associated membranes. (a) FeiSEM image of the surface of a stage III oocyte NE showing rough ribosome containing vesicles (RV), smooth vesicles (SV) and flattened membrane (FM). The position of anti-Rtn4a immuno-gold particles detected using a backscatter detector is indicated by circles. (b–d) Rtn4a localises to regions of contact between larger membrane structures and the ONM. (e) ER protein, ribophorin, has a more even distribution over flattened membranes, vesicles and the outer nuclear membrane.
Fig. 3. Flattened membranes at the ONM of stage III oocyte. (a–c) Attached membranes with different inferred degrees of flattening: (a) is attached but not flattened; (b) is flattened with a few apparent points of fusion (arrows) and (c) is more integrated in the ONM and NPCs (arrowheads) are present around the edges (d–f) Immuno-gold labelling of Rtn4a in flattened membranes showing edge position of Rtn4a (circles). Scale bar in (c) refers to (a–c), scale bar in (f) refers to (d–f).
Fig. 4. Thin section TEM of NE with cytoplasmic membranes attached. Membranes may be continuous with the ONM (black arrows) or attached but apparently not continuous (white arrows).
Fig. 5. Rtn4a locates to the edges of flattened membranes. The average number of gold particles on each flattened membrane structure that are located less than 30 nm from the edge was compared to those located more than 30 nm from its edge. This was compared to the distribution of the ER protein, ribophorin. Bars represent standard error of the mean.
Fig. 6. Membranes flattening onto chromatin during the early (a, b and d) stages of NE assembly in Xenopus egg extracts and labelled with antibodies to Rtn4a (a–c) or ribophorin (antibody CEL5C), marked by circles (d). (c) Fully assembled NE labelled for Rtn4a. (d) Quantification of gold labels for the two antibodies plotted as a distance from the edge. Scale bar in (d) refers to (b–d).
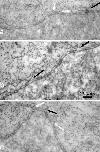
Fig. 7. Rtn4a antibody perturbs NE growth in Xenopus egg extract. The antibody prevents the usual formation of ER tubules (a, arrows), instead forming large vesicles (b). In control nuclear assembly reactions (c) nuclei are large and roughly round, whereas in the presence of the antibody they remain sperm shaped with large membrane extensions (arrows) (d–g). (h) Nuclear growth is significantly retarded by the Rtn4a antibody as shown by quantification of the two-dimensional area of nuclei observed by feiSEM. (i) High magnification image of nucleus assembled in the presence of Rtn4a antibody, showing NPCs (black arrows) assembled on the sperm chromatin shaped region and the NPC-free ER-like extension with ribosomes (arrowheads). White arrows indicate the junction between the chromatin bound NE and the ER-like extension. Scale bar in (a) applies to (a and b). Scale bar in (f) applies to (c–g).
Audhya,
A role for Rab5 in structuring the endoplasmic reticulum.
2007, Pubmed,
Xenbase
Audhya,
A role for Rab5 in structuring the endoplasmic reticulum.
2007,
Pubmed
,
Xenbase Bodoor,
Sequential recruitment of NPC proteins to the nuclear periphery at the end of mitosis.
1999,
Pubmed De Craene,
Rtn1p is involved in structuring the cortical endoplasmic reticulum.
2006,
Pubmed Drummond,
Temporal differences in the appearance of NEP-B78 and an LBR-like protein during Xenopus nuclear envelope reassembly reflect the ordered recruitment of functionally discrete vesicle types.
1999,
Pubmed
,
Xenbase Ellenberg,
Nuclear membrane dynamics and reassembly in living cells: targeting of an inner nuclear membrane protein in interphase and mitosis.
1997,
Pubmed Goldberg,
Import and export at the nuclear envelope.
2004,
Pubmed Goldberg,
Dimples, pores, star-rings, and thin rings on growing nuclear envelopes: evidence for structural intermediates in nuclear pore complex assembly.
1997,
Pubmed
,
Xenbase Goldberg,
The use of field emission in-lens scanning electron microscopy to study the steps of assembly of the nuclear envelope in vitro.
1992,
Pubmed
,
Xenbase Goldberg,
Xenopus lamin B3 has a direct role in the assembly of a replication competent nucleus: evidence from cell-free egg extracts.
1995,
Pubmed
,
Xenbase Goldberg,
The nuclear pore complex: three-dimensional surface structure revealed by field emission, in-lens scanning electron microscopy, with underlying structure uncovered by proteolysis.
1993,
Pubmed
,
Xenbase Hanover,
O-linked N-acetylglucosamine is attached to proteins of the nuclear pore. Evidence for cytoplasmic and nucleoplasmic glycoproteins.
1987,
Pubmed Hetzer,
Pushing the envelope: structure, function, and dynamics of the nuclear periphery.
2005,
Pubmed Hetzer,
GTP hydrolysis by Ran is required for nuclear envelope assembly.
2000,
Pubmed
,
Xenbase Hetzer,
Distinct AAA-ATPase p97 complexes function in discrete steps of nuclear assembly.
2001,
Pubmed
,
Xenbase Kiseleva,
Actin- and protein-4.1-containing filaments link nuclear pore complexes to subnuclear organelles in Xenopus oocyte nuclei.
2004,
Pubmed
,
Xenbase Kiseleva,
Steps of nuclear pore complex disassembly and reassembly during mitosis in early Drosophila embryos.
2001,
Pubmed Liu,
The COPI complex functions in nuclear envelope breakdown and is recruited by the nucleoporin Nup153.
2003,
Pubmed
,
Xenbase Lohka,
Roles of cytosol and cytoplasmic particles in nuclear envelope assembly and sperm pronuclear formation in cell-free preparations from amphibian eggs.
1984,
Pubmed
,
Xenbase Macaulay,
Assembly of the nuclear pore: biochemically distinct steps revealed with NEM, GTP gamma S, and BAPTA.
1996,
Pubmed
,
Xenbase Mattaj,
Sorting out the nuclear envelope from the endoplasmic reticulum.
2004,
Pubmed Maupin,
Improved preservation and staining of HeLa cell actin filaments, clathrin-coated membranes, and other cytoplasmic structures by tannic acid-glutaraldehyde-saponin fixation.
1983,
Pubmed Morozova,
[Morphometrical analysis of endoplasmic reticulum dynamics in growing amphibian oocytes].
2006,
Pubmed
,
Xenbase Oertle,
Nogo and its paRTNers.
2003,
Pubmed Prinjha,
Inhibitor of neurite outgrowth in humans.
2000,
Pubmed Prunuske,
Nuclear envelope breakdown is coordinated by both Nup358/RanBP2 and Nup153, two nucleoporins with zinc finger modules.
2006,
Pubmed
,
Xenbase Smeijers,
A detailed look at vesicle fusion.
2006,
Pubmed van de Velde,
NSP-encoded reticulons, neuroendocrine proteins of a novel gene family associated with membranes of the endoplasmic reticulum.
1994,
Pubmed Vigers,
A distinct vesicle population targets membranes and pore complexes to the nuclear envelope in Xenopus eggs.
1991,
Pubmed
,
Xenbase Voeltz,
A class of membrane proteins shaping the tubular endoplasmic reticulum.
2006,
Pubmed Walther,
The cytoplasmic filaments of the nuclear pore complex are dispensable for selective nuclear protein import.
2002,
Pubmed
,
Xenbase Walther,
The nucleoporin Nup153 is required for nuclear pore basket formation, nuclear pore complex anchoring and import of a subset of nuclear proteins.
2001,
Pubmed
,
Xenbase Wiese,
Nuclear envelope assembly in Xenopus extracts visualized by scanning EM reveals a transport-dependent 'envelope smoothing' event.
1997,
Pubmed
,
Xenbase Winey,
Nuclear pore complex number and distribution throughout the Saccharomyces cerevisiae cell cycle by three-dimensional reconstruction from electron micrographs of nuclear envelopes.
1997,
Pubmed Yan,
Reticulon proteins: emerging players in neurodegenerative diseases.
2006,
Pubmed Yang,
Integral membrane proteins of the nuclear envelope are dispersed throughout the endoplasmic reticulum during mitosis.
1997,
Pubmed Yang,
Observation of a membrane fusion intermediate structure.
2002,
Pubmed Zhang,
Concentration of Ran on chromatin induces decondensation, nuclear envelope formation and nuclear pore complex assembly.
2002,
Pubmed
,
Xenbase Zhang,
Chromatin-independent nuclear envelope assembly induced by Ran GTPase in Xenopus egg extracts.
2000,
Pubmed
,
Xenbase