Click here to close
Hello! We notice that you are using Internet Explorer, which is not supported by Xenbase and may cause the site to display incorrectly.
We suggest using a current version of Chrome,
FireFox, or Safari.
???displayArticle.abstract???
We have used a monoclonal antibody directed against the C-terminus of the Drosophila invected homeodomain to detect a nuclear protein in brain cells of Xenopus laevis embryos. We refer to this antigen as the Xenopus EN protein. The EN protein is localized at midneurula stage to a band of cells in the anterior portion of the neural plate, on each side of the neural groove. Later in development, the expression coincides with the boundary of the midbrain and hindbrain, and persists at least to the swimming tadpole stage. These properties make the EN protein an excellent molecular marker for anterior neural structures. In embryos where inductive interactions between mesodermal and ectodermal tissues have been perturbed, the expression of the EN protein is altered; in embryos that have been anterodorsalized by LiCl treatment, the region that expresses the EN protein is expanded, but still well organized. In ventralized UV-irradiated embryos, the absence of the protein is correlated with the absence of anterior neural structures. In extreme exogastrulae, where the contacts between head mesoderm and prospective neurectoderm are lost, the EN protein is not expressed.
Fig. 2. Localization of the EN protein in whole-mount
tailbud (stage 28). (A) The EN protein is expressed only in
the brain. (B) Higher magnification view in the plane of the
vesicles of the brain.
Fig. 3. Expression of the EN protein in the swimming
tadpole (stage 39). (A) Localization in the whole animal
behind the eye but anterior to the otic vesicle. (B) Optical
section of whole mount in anterior view (equivalent to
transverse section), showing that the protein is present in the lateral walls of the brain only. (C) Optical section, side view of the same embryo (sagittal section).
Fig. 4. Optical section at the midbrainhindbrain boundary
of the brain (stage 42). In addition to the expression at the
boundary of the mid- and hindbrain, EN expression is also
detected in the cells of the hindbrain (h) and the floor of
the midbrain (m, see arrow).
Fig. 5. EN expression in the feeding tadpole stage 47
(arrow). The staining in the blood vessels is nonspecific and
due to the peroxidase activity associated with heme in red
blood cells.
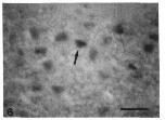
Fig. 6. Transverse section of a midneurula stained with the
4D9 antibody. The staining is restricted to the nuclei (see
arrow). Bar, lO^um.
Fig. 7. Reprogramming of the EN expression in LiCl treated embryos. (A) Untreated stage-18 control embryo. (B) Embryo previously treated with LiCl and fixed at the same age as the embryo in A. Arrows delimit the radial band of nuclei staining with the antibody. (C) Comparison of expression of the EN protein in normal (top) versus LiCl treated embryo (bottom), at late stage of embryogenesis. The EN protein occupies the subapical position of the anterodorsalized embryo.
Fig. 8. Expression of EN protein in UV-treated ventralized
embryo (age equivalent to swimming tadpole stage 42).
(A) The EN protein is not present in the most extreme case
of ventralized embryo (grade 5). (B) High-magnification
view of the brain of a synophthalmic (grade 2) embryo. The
expression of the EN protein is reduced in this embryo
(compare this profile of expression with the one depicted in
Fig. 4). m, midbrain; h, hindbrain.
Fig. 9. Expression of EN in partial and complete exogastrulae. (A) Control embryo without exposure to high salt (late neurula stage 20). (B and C) Incomplete exogastrulae showing expression of EN protein (arrows). (D) Complete exogastrula. The ectoderm is the folded vesiculated structure at the right.