Click here to close
Hello! We notice that you are using Internet Explorer, which is not supported by Xenbase and may cause the site to display incorrectly.
We suggest using a current version of Chrome,
FireFox, or Safari.
Dev Dyn
1996 Sep 01;2071:104-13. doi: 10.1002/(SICI)1097-0177(199609)207:1<104::AID-AJA10>3.0.CO;2-0.
Show Gene links
Show Anatomy links
Tight junctions in early amphibian development: detection of junctional cingulin from the 2-cell stage and its localization at the boundary of distinct membrane domains in dividing blastomeres in low calcium.
???displayArticle.abstract???
Although functional studies indicate that tight junctions (TJ) are present in Xenopus laevis embryos from the 2-cell stage onward, morphological studies have failed to identify typical TJ structures before the 32-cell stage. Nothing is known about the expression and localization of TJ proteins in early Xenopus development. Here we have investigated the formation and composition of TJ in developing Xenopus embryos by whole-mount immunoperoxidase staining of eggs/embryos and immunoblotting of extracts with an antiserum against the TJ protein cingulin. Immunoblot analysis of eggs and embryo extracts showed that the antiserum labeled a major polypeptide of apparent M(r) 160 kD. Maternal cingulin was distributed diffusely in the cytocortical region of eggs and early embryos. Intense cingulin labeling became localized in the junctional region starting from the first cell division (2-cell stage). During cytokinesis, cingulin labeling was accumulated into new junctions in a precise spatial/temporal relationship with the deepening of the cleavage furrow. In semithin sections of stained embryos, labeling was detected in the most apical portion of the region of cell-cell contact. In embryos incubated in low calcium medium for 30 min, newly divided blastomeres failed to completely adhere to each other. However, cingulin labeling was accumulated along a linear structure that was at the border between distinct membrane domains (apical and lateral). These observations provide the first description of assembly of a TJ protein at the earliest stages of Xenopus development and suggest that TJ occur from the 2-cell stage onward and are assembled with maternal stores of protein. The formation of cingulin-containing structures even when lateral cell-cell adhesion is greatly reduced suggests that the apical cytocortex may have a determinative influence on TJ assembly and establishment of cell polarity.
Fig. 1. lmmunoperoxidase staining of unfertilized Xenopus albino
eggs with anti-cingulin antiserum (A) and preimmune rabbit serum (B).
Cingulin labeling (indicated by the brown reaction, gray-black in the photograph)
is distributed over the cortical surface. Note that specimens
were cleared with Murray�s solution after staining, and no labeling was
detected in deeper zones of eggs and embryos. Bar = 300 vm.
Fig. 2. lmmunoperoxidase localization of cingulin during early cleavages
of Xenopus embryos. A,A: Two-cell embryo after first cleavage
(matching arrows indicate junctional region). Note lighter stained areas
on the sides of the junction. B,B': Embryo during the course of the second
cleavage (matching arrows indicate deepening cleavage furrow).
C: Control embryo, stained with non-immune rabbit serum. Note that the
vitelline membrane was removed by pronase treatment prior to cell division
and fixation, resulting in some deformation of the embryos. Bars =
300 prn (A-C); 100 pm (A, 6').
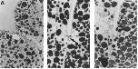
Fig. 3. immunoperoxidase localization of cingulin in Xenopus embryos
at different developmental stages: segmentation (A,B), blastula
(C), gastrula (D), tailbud (E), and larval mesothelium (F). In A and B, note
that the junctional labeling is bordered by lighter stained areas, and the
remaining cortical surface is labeled. The intensity of the cell surface
labeling was variable between experiments (e.g., cf. A and C), but was
consistently observed. In E, ciliated cells appear darker than non-ciliated
cells. Bars = 100 km (A,C,D); 300 +m (B): 50 hm (E,F).
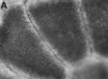
Fig. 4. Semithin (1 pm) sections of 8-cell Xenopus embryos, peroxidase stained with anti-cingulin (A,B)
and control (C). Arrows in A and B indicate staining accumulated in the apical junctional regions. Bar = 20 um.
Fig. 5. lmmunoblot analysis of x. laevis blastomere extracts.
Coomassie-stained SDS-PAGE (A) and corresponding immunoblot (A')
of extract from blastomeres (64-cell stage); 160 kD indicates the major
polypeptide stained by the antiserum. Arrowheads indicate weakly crossreacting
polypeptides. Apparent molecular sizes were determined on the
basis of the migration of prestained markers (MW-SDS-BLUE, Sigma, St.
Louis, MO).
Fig. 6. Effects of low calcium on cingulin distribution. A-D: Micrographs
of Xenopus embryos incubated for 30 min in low calcium solution,
and then fixed for cingulin immunoperoxidase localization. B is a magnification
of the embryo shown in A. The embryo shown in C was treated
with pronase. White and black triangles in A and C indicate basolateral
and apical membrane domains, respectively. Arrows in B and C indicate
cingulin labeling in dissociating, newly divided blastomeres. Arrowhead in
B indicates junctional labeling in blastomeres divided before the treatment.
D shows blastomeres with incompletely sealed junctions, probably
because transfer into low calcium occurred before completion of sealing.
Bars = 300 km (A); 100 Frn (ED).
Cgn (cingulin) gene expression in Xenopus laevis embryos, NF stage 7, as assayed by immunohistochemistry. View of tight junctions between blastomeres.