Click here to close
Hello! We notice that you are using Internet Explorer, which is not supported by Xenbase and may cause the site to display incorrectly.
We suggest using a current version of Chrome,
FireFox, or Safari.
???displayArticle.abstract???
To determine whether changes in androgen receptor (AR) expression are associated with trophic actions of androgens, we have examined the laryngeal motor nucleus (N. IX-X) of Xenopus laevis 1 and 5 months after section of the laryngeal nerve. In situ hybridization was used to recognize cells expressing mRNA for the Xenopus AR and bromodeoxyuridine to assess cell proliferation. In addition, the total number of cells was determined in untreated and dihydrotestosterone (DHT)-treated animals after 5 months of axotomy. After 1 month of axotomy, the number of AR mRNA-expressing cells in N. IX-X is 1.8-fold higher than in the intact side. Androgen upregulates expression of AR mRNA in N. IX-X on both the intact and the axotomized sides, suggesting that the increase is independent of contact with muscle. Neither the axotomy- nor the androgen-induced increase in number of cells expressing AR mRNA is attributable to cell proliferation. Five months after axotomy, both the total number of cells and the number of AR mRNA-expressing cells are severely decreased in the axotomized N. IX-X. DHT treatment mitigates the cell loss in N. IX-X induced by prolonged axotomy; the effect includes maintenance of AR mRNA-expressing cells. Gonadally intact males have more cells in the axotomized N. IX-X than castrated animals, suggesting that androgen acts at physiological levels as a trophic hormone. Axotomy-induced upregulation of AR expression may facilitate the trophic actions of androgens.
Figure 1. Cell death in N. IX–X after 5 months of axotomy. A, Cresyl
violet-stained cells in the intact N. IX–X of a non-gonadectomized male.
B, In the axotomized N. IX–X, swollen (arrowheads) and pyknotic cells
(arrow) are changes associated with prolonged axotomy. Scale bar, 50 mm.
Figure 2. Total number of cells in N. IX–X 5 months after axotomy. A,
Neuronal survival in N. IX–X of females and males 5 months after
axotomy with or without DHT treatment (mean 6 SEM; n 5 4 animals/
group). Significantly (*p , 0.05) more cells were found in the axotomized
N. IX–X of DHT-treated animals than in untreated gonadectomized
animals. B, Number of cells (mean 6 SEM; n 5 4 animals/group) in the
intact (white) and axotomized (black) N. IX–X of untreated and DHTtreated
animals. In all groups, the number of cells in the axotomized N.
IX–X was significantly smaller than in the intact side (*p , 0.05, **p ,
0.01). C, Significantly more cells survived in the axotomized N. IX–X of
non-gonadectomized males and DHT-treated males than in untreated
gonadectomized males ( p , 0.05; n 5 4 animals/group).
Figure 3. In situ hybridization signals with the AR probe in the brainstem
of X. laevis 1 month after nerve section. A, Increases in in situ hybridization
signals were found in the axotomized (a) N. IXâX as compared to the
intact side (i). The intensity of hydridization in cells of the adjacent
reticular formation (Re) or motor neurons of the spinal cord (SC) does not
change after axotomy. The horizontal section at the level of the brainstem
shows the root of the IXâX nerve (IX-Xn). B, A higher magnification of in
situ hybridization signals in the axotomized N. IXâX of an untreated
animal. Cells with unstained nucleus and cytoplasmic labeling (V) were
counted, whereas cytoplasmic profiles were not (*). C, No hybridization
was observed with sense probe. The horizontal section at the level of the
brainstem and spinal cord (SC) shows the root of the IXâX nerve (IX-Xn).
Scale bars: A, C, 180 mm; B, 25 mm.
Figure 4. Number of AR mRNA-expressing cells (mean 6 SEM; n 5
number of animals within histogram bars) in the intact (white) and axotomized
(black) N. IX–X of untreated and DHT-treated animals 1 month
after axotomy. Asterisks indicate significant differences between intact and
axotomized sides (*p , 0.05, **p , 0.01). Brackets with significance
information show differences between untreated and DHT-treated
groups. In untreated animals, more AR mRNA-expressing cells were
found in the axotomized side than in the intact side. The number of AR
mRNA-expressing cells was significantly higher in both intact and axotomized
sides of DHT-treated juveniles than the respective sides of untreated
juveniles. The number of AR mRNA-expressing cells in the intact
side of DHT-treated males was significantly higher than in untreated
males.
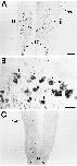
Figure 5. Cell proliferation in the CNS of juvenile frogs. A, Bromodeoxyuridine labeling was found in cells of the ependymal layer of the lateralventricle (LV)
within the telencephalon and in cells in the ventralstriatum (vSt) and septum (Sep; arrowheads). 3V, Third ventricle. B, A higher magnification of
bromodeoxyuride-labeled cell nuclei in the ventralstriatum. C, In the same animals, after DHT treatment for 1 month, N. IXâX was back-labeled with HRP
(arrow). D, A higher magnification of C shows no bromodeoxyuridine labeling in HRP-back-labeled motor neurons of N. IXâX. Scale bars: A, C, 140 mm; B,
10 mm; D, 10.7 mm.
Figure 6. Hybridization of the AR probe to cells in the brainstem of an
untreated male (A) and a DHT-treated male (B) 5 months after axotomy.
In untreated animals, fewer AR mRNA-expressing cells were present in
the axotomized N. IX–X (a) than in the intact side (i). DHT-treated
animals had significantly more AR mRNA-expressing cells in the axotomized
side than did untreated animals. Scale bar, 75 mm.
Figure 7. AR mRNA-expressing cells 5 months after axotomy. A, DHT treatment resulted in significantly more AR mRNA-expressing cells in the
axotomized N. IX–X than were seen in untreated animals (mean 6 SEM; n 5 3 animals/group). B, Number of AR mRNA-expressing cells in N. IX–X
of untreated and DHT-treated animals (mean 6 SEM; n 5 3 animals/group). Asterisks represent significant differences between intact and axotomized
sides (*p , 0.05; **p , 0.01). Axotomy for 5 months caused significant decrease in number of AR mRNA-expressing cells in the axotomized N. IX–X
of untreated males and females and DHT-treated males.
ABERCROMBIE,
Estimation of nuclear population from microtome sections.
1946, Pubmed
ABERCROMBIE,
Estimation of nuclear population from microtome sections.
1946,
Pubmed Armstrong,
Expression of choline acetyltransferase and nerve growth factor receptor within hypoglossal motoneurons following nerve injury.
1991,
Pubmed Breedlove,
Sexual dimorphism in the vertebrate nervous system.
1992,
Pubmed Brunello,
Increased nerve growth factor receptor mRNA in contused rat spinal cord.
1990,
Pubmed Chong,
GAP-43 expression in primary sensory neurons following central axotomy.
1994,
Pubmed Conover,
Neuronal deficits, not involving motor neurons, in mice lacking BDNF and/or NT4.
1995,
Pubmed Ernfors,
Expression of nerve growth factor receptor mRNA is developmentally regulated and increased after axotomy in rat spinal cord motoneurons.
1989,
Pubmed Ernfors,
Lack of neurotrophin-3 leads to deficiencies in the peripheral nervous system and loss of limb proprioceptive afferents.
1994,
Pubmed Fischer,
An androgen receptor mRNA isoform associated with hormone-induced cell proliferation.
1993,
Pubmed
,
Xenbase Harding,
X-linked recessive bulbospinal neuronopathy: a report of ten cases.
1982,
Pubmed He,
Molecular cloning of androgen receptors from divergent species with a polymerase chain reaction technique: complete cDNA sequence of the mouse androgen receptor and isolation of androgen receptor cDNA probes from dog, guinea pig and clawed frog.
1990,
Pubmed
,
Xenbase Hoffman,
Neurofilament gene expression: a major determinant of axonal caliber.
1987,
Pubmed Kelley,
Locations of androgen-concentrating cells in the brain of Xenopus laevis: autoradiography with 3H-dihydrotestosterone.
1981,
Pubmed
,
Xenbase Kelley,
Autoradiographic localization of hormone-concentrating cells in the brain of an amphibian, Xenopus laevis. I. Testosterone.
1975,
Pubmed
,
Xenbase Kelley,
Auditory and vocal nuclei in the frog brain concentrate sex hormones.
1980,
Pubmed
,
Xenbase Kelley,
Development and hormone regulation of androgen receptor levels in the sexually dimorphic larynx of Xenopus laevis.
1989,
Pubmed
,
Xenbase Kerr,
Distribution and hormonal regulation of androgen receptor (AR) and AR messenger ribonucleic acid in the rat hippocampus.
1995,
Pubmed Klein,
Targeted disruption of the trkB neurotrophin receptor gene results in nervous system lesions and neonatal death.
1993,
Pubmed Koliatsos,
Axotomy induces nerve growth factor receptor immunoreactivity in spinal motor neurons.
1991,
Pubmed Kujawa,
Testosterone differentially regulates the regenerative properties of injured hamster facial motoneurons.
1991,
Pubmed La Spada,
Androgen receptor gene mutations in X-linked spinal and bulbar muscular atrophy.
1991,
Pubmed Levi-Montalcini,
DESTRUCTION OF THE SYMPATHETIC GANGLIA IN MAMMALS BY AN ANTISERUM TO A NERVE-GROWTH PROTEIN.
1960,
Pubmed Lewin,
Physiology of the neurotrophins.
1996,
Pubmed Li,
Neurotrophic agents prevent motoneuron death following sciatic nerve section in the neonatal mouse.
1994,
Pubmed Lieberman,
The axon reaction: a review of the principal features of perikaryal responses to axon injury.
1971,
Pubmed Liu,
Sensory but not motor neuron deficits in mice lacking NT4 and BDNF.
1995,
Pubmed Lubischer,
Axotomy of developing rat spinal motoneurons: cell survival, soma size, muscle recovery, and the influence of testosterone.
1995,
Pubmed Lubischer,
Axotomy transiently down-regulates androgen receptors in motoneurons of the spinal nucleus of the bulbocavernosus.
1995,
Pubmed MacLean,
Abnormal androgen receptor binding affinity in subjects with Kennedy's disease (spinal and bulbar muscular atrophy).
1995,
Pubmed Menard,
Up-regulation of androgen receptor immunoreactivity in the rat brain by androgenic-anabolic steroids.
1993,
Pubmed Nordeen,
Androgens prevent normally occurring cell death in a sexually dimorphic spinal nucleus.
1985,
Pubmed Oppenheim,
Developing motor neurons rescued from programmed and axotomy-induced cell death by GDNF.
1995,
Pubmed Pérez,
Functional effects of D-Phe-c[Cys-Tyr-D-Trp-Lys-Val-Cys]-Trp-NH2 and differential changes in somatostatin receptor messenger RNAs, binding sites and somatostatin release in kainic acid-treated rats.
1995,
Pubmed Pérez,
Androgen receptor mRNA expression in Xenopus laevis CNS: sexual dimorphism and regulation in laryngeal motor nucleus.
1996,
Pubmed
,
Xenbase Pérez,
Light-induced retinopathy in the albino rat in long-term studies. An immunohistochemical and quantitative approach.
1994,
Pubmed Pérez,
Co-expression of somatostatin SSTR-3 and SSTR-4 receptor messenger RNAs in the rat brain.
1995,
Pubmed Robertson,
Androgen directs sexual differentiation of laryngeal innervation in developing Xenopus laevis.
1994,
Pubmed
,
Xenbase Ross,
When more is less: pathogenesis of glutamine repeat neurodegenerative diseases.
1995,
Pubmed Simpson,
Origin and identification of fibers in the cranial nerve IX-X complex of Xenopus laevis: Lucifer Yellow backfills in vitro.
1986,
Pubmed
,
Xenbase Tobias,
The roles of sex, innervation, and androgen in laryngeal muscle of Xenopus laevis.
1993,
Pubmed
,
Xenbase Tobias,
Development of functional sex differences in the larynx of Xenopus laevis.
1991,
Pubmed
,
Xenbase Yu,
Administration of testosterone attenuates neuronal loss following axotomy in the brain-stem motor nuclei of female rats.
1989,
Pubmed